REQUEST A TOUR If you would like to see this home without being there in person, select the "Virtual Tour" option and your agent will contact you to discuss available opportunities.
In-PersonVirtual Tour

Listed by Stephanie Bentley-Wright • Blackwell Realty and Auction
$ 299,900
Est. payment | /mo
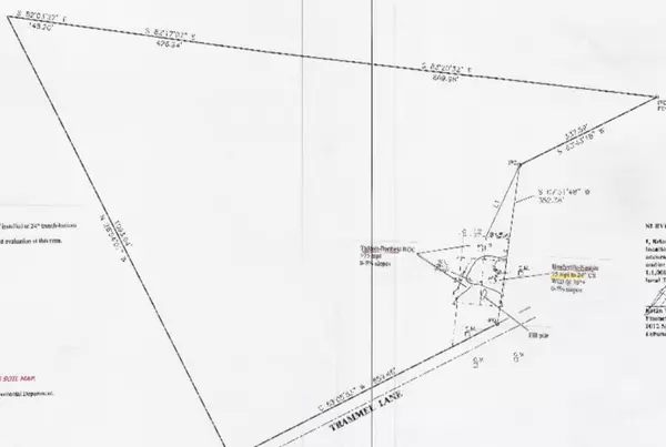
15.96 Acres Lot
$ 299,900
Est. payment | /mo
15.96 Acres Lot
Key Details
Property Type Vacant Land
Listing Status Active
Purchase Type For Sale
MLS Listing ID 2944312
HOA Y/N No
Annual Tax Amount $380
Lot Size 15.960 Acres
Acres 15.96
Property Description
Don't miss this incredible opportunity to own 15.96 beautiful acres featuring a two-bedroom soil area and approximately 720 feet of road frontage. This versatile property offers the perfect blend of privacy and convenience, with ample space to build your dream home, hobby farm, or investment property. Zoned for highly sought-after Watertown schools, this land is a rare find with tons of potential. Schedule your showing today!
Location
State TN
County Wilson County
Zoning A1
Interior
Fireplace N
Exterior
Utilities Available Water Available
View Y/N false
Private Pool false
Building
Lot Description Level, Wooded
Sewer Septic Tank
Water Private
Schools
Elementary Schools Watertown Elementary
Middle Schools Watertown Middle School
High Schools Watertown High School
Others
Senior Community false
Special Listing Condition Standard
Virtual Tour https://properties.myhouselens.com/ub/92171/0 Trammel Lane, Watertown, TN 37184

© 2025 Listings courtesy of RealTrac as distributed by MLS GRID. All Rights Reserved.

Find out why customers are choosing LPT Realty to meet their real estate needs







